- トップページ
- 土地をエリアから探す
- 柏市
- つくしが丘
- 柏市つくしが丘1丁目 売地





【物件の特徴】
・建築条件なしでお好きなハウスメーカーでの建築が可能!
・南東角地で日当り良好!
・広々した整形地の為、様々な設計プランに対応できる土地です!
【ライフインフォメーション】
・東武アーバンパークライン「新柏駅」徒歩4分の好立地!都心へのアクセスに便利!
・近隣には商業施設が充実!子育て、買い物にも利便性に優れています!
・建築条件なしでお好きなハウスメーカーでの建築が可能!
・南東角地で日当り良好!
・広々した整形地の為、様々な設計プランに対応できる土地です!
【ライフインフォメーション】
・東武アーバンパークライン「新柏駅」徒歩4分の好立地!都心へのアクセスに便利!
・近隣には商業施設が充実!子育て、買い物にも利便性に優れています!
担当スタッフより

- 関 優菜
- お客様のご都合に合わせ、いつでも現地をご案内させて頂きますので、ご希望の時間等をお気軽にお申し付け下さいませ。平日、休日、当日、夜のご案内も大歓迎。類似物件や周辺環境もあわせてご案内致します。
物件詳細情報
物件No.20000440868
| 所在地 | 千葉県柏市つくしが丘1丁目 | ||
|---|---|---|---|
| 交通 | 東武野田線「新柏」駅徒歩4分 常磐線「南柏」駅徒歩21分 常磐線「柏」駅徒歩44分 |
||
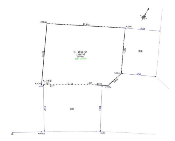
| 土地面積 | 133.87m² 実測 | ||
| 販売区画数 | 1区画 | 総区画数 | 全1区画 |
| 用途地域 | 第一種低層住居専用地域 | 建ぺい率 | 60% |
| 容積率 | 100% | 都市計画 | 市街化区域 |
| 建築条件 | 建築条件なし | 地目 | 宅地 |
| 現況 | 古家付 | 引渡時期 | 相談 |
| 引渡条件 | 更地渡し | 権利種類 | 所有権 |
| 接道 | 南側7.9M公道に接道 東側6M公道に接道 |
取引態様 | 媒介 |
| 設備 | 公営水道、本下水、都市ガス | ||
こだわり項目
角地緑豊かな住宅地閑静な住宅地保育園・幼稚園800m以内コンビニ400m以内公園800m以内
- ※価格は物件の代金総額を表示しており、消費税が課税される場合は税込み価格です。(1,000円未満は切り上げ。)
税率は引き渡し時期により異なりますので、各物件の詳細につきましてはお問い合わせください。 - ※敷地権利が借地権のものは価格に権利金を含みます。
- ※制作中に内容が変更される場合もありますので、あらかじめご了承ください。
- ※購入の前には物件内容や契約条件についてご自身で十分な確認をしていただくようにお願いいたします。
- ※完成予想図はいずれも外構、植栽、外観等実際のものとは多少異なることがあります。
- ※CG合成の画像の場合、実際とは多少異なる場合があります。
周辺地図
周辺施設一覧
- ショッピングセンター
- スーパー
- コンビニ
- ドラッグストア
- ホームセンター
- 飲食店
- その他店舗
- 商店街
- 大学
- 専門学校
- 高校・高専
- 中学校
- 小学校
- 保育園
- 幼稚園
- 公民館・児童館
- 病院
- 郵便局
- 役所
- 図書館
- 金融機関
- 警察・消防
- 趣味・娯楽施設
- 公園・運動施設
- 周辺の街並み
- 駅
- その他
お問い合せ先
- 株式会社スターホームズ
- お電話でのお問い合わせは
04-7128-7228「ホームページを見た」とお問い合わせください - 千葉県柏市新柏1-16-13 新柏スクエア1階
- 営業時間:9:30〜18:30
- 定休日:年末年始
- 免許番号:千葉県知事免許(2)第17112号



























